هل يمكنك العثور على الأخطبوط الذي فاجأ غواصا بطريقة تَخفِّيه؟
رام الله - دنيا الوطن
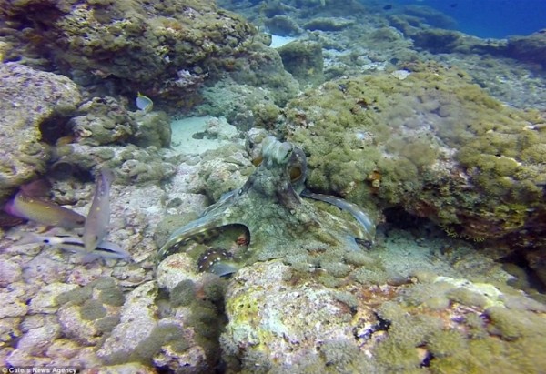
تمكن أخطبوط من الاختباء بشكل تمويهي لا يصدق، حتى أنه صدم الغواص الذي يصور الشعاب المرجانية لحظة تحركه.
وفقا لما نشرته صحيفة "ديلى ميل" البريطانية، وقف المخلوق البحري في قاع المحيط بجزر المالديف، بعد أن ثنى جسده ليبدو بنفس لون القاع.
التقط مقطع الفيديو بواسطة المصور التركى "إندا قاسم" الذي وصفه بأفضل لحظات غوصه، وظهر الأخطبوط بعد ذلك مستعرضا حركاته كأنه يعرضها أمام الغواص بشكل خاص.





تمكن أخطبوط من الاختباء بشكل تمويهي لا يصدق، حتى أنه صدم الغواص الذي يصور الشعاب المرجانية لحظة تحركه.
وفقا لما نشرته صحيفة "ديلى ميل" البريطانية، وقف المخلوق البحري في قاع المحيط بجزر المالديف، بعد أن ثنى جسده ليبدو بنفس لون القاع.
التقط مقطع الفيديو بواسطة المصور التركى "إندا قاسم" الذي وصفه بأفضل لحظات غوصه، وظهر الأخطبوط بعد ذلك مستعرضا حركاته كأنه يعرضها أمام الغواص بشكل خاص.







التعليقات